
Kanser ilacını Rizeli dalında çürüttü
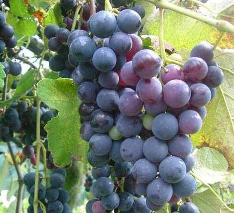
Yapılan bilimsel araştırmalarda kanser tedavisindeki etkisi ortaya çıkan kokulu üzüm, Rize'de bu yıl haddinden fazla yetişti ama dalında çürütüldü!
GÖKTÜRK FIRAT
Yapılan bilimsel araştırmalarda kanserin önlenmesinde etkili olduğu tespit edilen kokulu üzüm, bilinçsiz tarım uygulamaları yüzünden Rize’de asmasında çürüyor.
Dünyada İzabella, Türkiye’de ise kokulu üzüm olarak adlandırılan ve Doğu Karadeniz Bölgesi’nde yoğun olarak üretilen üzüm türü, dünya tıp otoriteleri tarafından kanserin önlenmesinde önemli bir meyve olarak gösteriliyor. Amerika Birleşik Devletleri’nde bulunan İllinois Üniversitesi tarafından yapılan bir bilimsel çalışmada, deney farelerine ilk önce tümör enjekte edildi. Ardından 18 hafta boyunca bu farelere kokulu üzümün çekirdeğinde yer alan mikromol resveratrol verildi. Yapılan gözlemlerde farelerdeki tümör oranında periyodik olarak azalma tespit edildi. 18 haftanın sonunda yüzde 88 oranında azalma meydana geldiği görüldü.
Öte yandan kokulu üzüm kalp krizi riskini azalttığı gibi; bağışıklık sistemini güçlendiriyor. Mideye zarar vermeden bağırsak ve böbrek sistemini çalıştırıyor, yağları eritiyor, vücudu virüslere karşı dirençli hale getiriyor ve metabolizmayı hızlandırıyor.
Dünyada tıp sektöründe kullanılmak üzere özel çiftliklerde üretimine başlanılan kokulu üzün, Doğ Karadeniz Bölgesi’nde doğal olarak hiçbir kimyasal desteğe ihtiyaç duymadan yetişmesine rağmen bilinçsizce üretim yüzünden toplanamadan asmasında çürüyor.
Konuyla ilgili açıklama yapan Rize Ziraat Odası Başkanı Nevzat Paliç, “Elimizdeki hazinenin kıymetini bilmiyoruz. Bu alanda bilinçli bir üretim sağlanamadığı için elde edilen kokulu üzümden gerektiği gibi istifade edemiyoruz. Bu yıl geçtiğimiz yıla oranla kokulu üzüm çok daha fazla oldu. Ancak üzüm asmaları binaların dış yüzeyine ve çıkılması zor olan ağaçlara bağlandığı için toplaması zor oluyor. Toplanabileni ile pekmez gibi bilindik mamuller yapılıyor. Büyük bölümü ise toplanamadan dalında çürüyor.” dedi.


HABERE YORUM KAT